There were three parallel tracks to the main line when the yard at Mildura was constructed with a dead end extension of No.4 track at the Down end.
The Chief Engineer for Way and Works, Mr. C. Norman, advised the Railway Construction Branch of the Board of Land and Works that the Railway Commissioners had requested the Branch to construct a turntable and trucking yards for sheep and cattle, with the necessary siding, at Mildura.
At the end of the main line from Melbourne was at the turnout to the locomotive turntable, located opposite Olive Avenue on what is now vacant land abutting Walnut Avenue extension. Pepper trees identify the area of the coal stage and turntable. The turntable was available for use by 8-8-1904.
Sheep and cattle trucking yards were constructed adjacent to Olive Avenue with access from Seventh Street. A siding was provided to serve the yards and ended at a loading bank at Walnut Avenue. The stockyards were used for the first time on 25-8-1904 when two truck loads of prime Tapio Station muttons were sent off to Melbourne. (The first sheep to be railed from Mildura were sent on 28-1-1904 for Mr. Ben Chaffey. The first cattle were sent on 18-2-1904).

Plan of the stock yards from a 1933 drainage plan of Mildura station yards. Note the position of the stockyards in relation to the carriage shed and intersection of Olive Avenue and Seventh Street. The site is now occupied by a turntable. Source: Bruce McLean Collection
Formation work for the new railway to Merbein commenced in March 1909, the extension being a continuation of the main line. Rail laying commenced in September 1909 and the extension to Merbein opened on 4-7-1910.
In May 1912, a siding leading off the main line at the Down end of the station platform was constructed for stabling and cleaning of passenger carriages.
In 1913 the Commissioners agreed to provide a double race for loading sheep and a drafting race in the trucking yards.
An additional siding was added from the Down end on the river side of the yard at an angle towards the goods shed in May 1918, to ease congestion and expedite loading and unloading of trucks. The dead end extension of No.4 track appears to have been removed at this time. A new siding to accommodate 40 trucks was constructed with a turnout at the Down end of the yard near the turntable road, in an up direction behind the goods shed. It was added to relieve congestion in the yard and appears to have replaced the 1918 siding. Construction commenced in November 1920 and was completed on 26-1-1921. A ballast train from Maryborough was used. The crane was re-erected and available for use from 5-2-1921.

The Up end of Mildura station yard circa 1965. The additional siding at the back of the goods shed completed in 1921 can be noted. Photo: Chris. Phillips
Three additional tracks provided off the turntable to store locomotives not required in traffic were completed by April 1921. The coal stage was also extended.
Mildura Borough Council was advised in April 1922 that the Railway Construction Branch was to build a siding from the Mildura station yards to the nearby Murray River near the sawmills. The siding would facilitate the movement of up to 70,000 sleepers arriving by riverboat for the new railway being constructed from Red Cliffs to Werrimull. The siding would also serve the South Australian government Gravel siding. The Council requested the siding be made permanent to cater for the volume of freight brought to Mildura by riverboat.
Mildura station yard is elevated on an embankment overlooking the river and a steep downgrade line was necessary to gain access to the riverbank. A short dead end siding extended off the line at the foot of the downgrade as a safety catch siding, the points being normally set for the siding to direct any runaway vehicles off the falling grade. It was also used as a head shunt for the South Australian government Gravel siding, leading in the reverse direction from the Construction siding to a point downstream. The siding was required for the transfer of gravel railed from Carisbrook. The gravel was transferred into river barges for use in the construction of Lock No. 9 on the Murray River by the South Australian government. As the Gravel siding required a set of reverse points an unusual "zig-zag" feature was created. A loop for standing wagons was provided on the river side of the siding. The siding was commissioned on 9-1-1923 and was dismantled in 1928.
A cattle pit was installed where the rails crossed Cureton Avenue (now Hugh King Drive) in July 1923 and the Construction siding, sleeper siding or wharf siding, as it was variously described, was in use by the end of the month.

A train load of sleepers standing on the flooded Construction siding near Mildura wharf, circa 1924. Photo: Wilf Henty, courtesy John Kiely
A connection from the main line to the turntable at the Down end for use of the Rail Motor running the Mildura Suburban Service was brought into use in February 1923.
Construction of a siding for the State Rivers & Water Supply Commission to serve the construction of Lock No.11, commenced in November 1923 and was available for use from 16-4-1924. It branched off the Construction siding and had a loop 450 feet long for standing vehicles before extending some distance to the Lock site. It traversed a line cut into the cliff below the Mildura Bowling Club and curved on an embankment across the flood plain to the lock site. This embankment can still be determined even though the railway line was dismantled in 1928.

Construction of Lock 11 at Mildura. The railway siding to the lock site traversed the embankment at lower right. Circa 1923. Photo: Bruce McLean Collection
Gravel from Duke and Main Leads Gold Mine Co. at Bet Bet, near Maryborough, was purchased by the SR&WSC for the construction of the weir and lock chamber. With the completion of the project, the line was dismantled, a short section being retained below Mildura station yard for the unloading of firewood for Mildura Shire Council.
The advantages of having a private railway siding was recognised by local industries. A short siding was provided at the down end on 31-10-1924 for the new Postmaster General's department premises at Walnut Avenue.

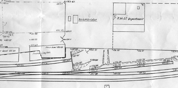
Part of a 1933 drainage plan of Mildura station yard showing the dead end siding to a loading bank near the Walnut Avenue weighbridge and the Post Master General's department siding adjacent to the P.M.G. depot on the corner of Seventh Street and Walnut Avenue. Source: Bruce McLean Collection
A new loop siding to serve the British Imperial Oil Company (now Shell) was established beyond Mildura on the line to Yelta at 352 miles by 15-6-1926. It was subsequently extended by 50 feet in December 1927 to serve the Vacuum Oil Company (now Mobil) and became known as Mildura Oil Siding. (At the beginning of World War II, the name of the siding was changed to Pool Oil Siding to consolidate distribution of oil products).

The combined Shell and Mobil siding at Mildura on 4-9-1976. The tank wagon is at the Mobil end of the siding in this view looking towards Mildura. Photo: Bruce McLean
With the decision to establish new locomotive depot facilities at Mildura instead of Merbein, approximately 8 acres of land along Seventh Street was reserved for the provision of a 70 foot turntable, five stall engine shed, a high level coal stage 140 feet long with an elevated track for the discharging of coal and a depressed track for removing ashes. The turntable, which had been lying at Merbein since 1924, was transferred to Mildura in January 1927. A connecting line to the new locomotive depot site, which was 49 chains from the passenger platform, was constructed off the Yelta line in February 1927 and available for use by 31-3-1927.
On 30-3-1927 the Up Home Signal was moved out a further 105 yards and on 31-3-1927 an Annett locked connection facing down trains was placed in the main line to the new 70 foot turntable at the new locomotive depot.
The Parliamentary Standing Committee on Railways visited Mildura on 15-2-1927 to enquire into the proposed locomotive depot. The estimated cost of the depot was 41,375 pounds and any proposed expenditure by the Victorian Railways over 20,000 pounds required an enquiry. The Committee inspected the plans and the site and works in progress. Also included in the expenditure was provision for an additional carriage siding and carriage shelter shed. The Committee's report recommending construction of the improved facilities was approved in July 1927.
Construction of the five stall locomotive shed and facilities commenced in December 1927. A coal stage 140ft long and 25ft wide with an elevated loading track and depressed ash removal track, a 21ft. x 30ft machine shop, offices, a store room, driver's room and a 20,000 gallons elevated water tank were provided. Locomotives began to use the new shed in October 1928.
In July 1927 a loop siding for the Mildura Co-operative Fruit Co. off the main line at 350.5 miles near Etiwanda Avenue, between Irymple and Mildura was constructed. It was available for use from 10-8-1927.
A new siding for the C.O.R. (now BP) petroleum company was constructed in January 1929, branching off the coal stage road at the new locomotive depot and adjacent to the Yelta line.
With rail traffic continuing to increase, additional capacity was required in the station yards. Alterations were made to the down end in February 1929, including lengthening of tracks and extending No.2 road so that it provided a direct connection to the new locomotive depot instead of diverging from the line to Yelta. The Up Home signal was moved back 140 yards near to the station platform. This work was completed by 5-3-1929.
An additional track for storage of passenger carriages and a carriage shed 500 feet long and 18 feet wide spanning the two tracks was completed in July 1929.

Mildura carriage sheds viewed from the southern end, 1959. Photo: Victorian Railways M6383

The northern end of the carriage sheds with rolling stock from "The Vinelander" protected from the harsh sun. 4-4-1978. Photo: Bruce McLean
A siding was provided for the Mildura City Council Electric Supply Department for the receipt of coal supplies by 30-5-1939. This siding came off the river siding near where the South Australian Public Works siding was located.

This view from the overhead bridge leading to the goods yard, shows the Murray River in the record flood of 1956 and how close the water came up to the siding serving the Mildura power station. In the foreground is the downgrade line from the yards to the riverfront. Photo: Joan Lee
The dead-end safety catch siding at the foot of the falling grade leading from the station yard was removed by July 1942.
A water filtration plant was installed at the carriage shed in 1943.
The First Mildura Irrigation Trust applied for an oil discharge site on the crane siding. The siding was extended 60 feet and the discharge point was located 100 feet from the buffers. An oil line was run from the siding, to a point 10 feet clear of the adjacent track to the wharf. Work was completed on 7-8-1944 and the minimum placing charge was 7 shillings and 8 pence per truck. The Trust advised on 21-11- 1958 that the oil discharge was no longer required and the pipe was removed on 9-11-1959.
In March 1945 the up end water column and spout in the station yard was removed. It had been damaged on 26-9-1944 when hit by an open door of a passing carriage. Water trucks were filled from the loco depot as an alternative.
To improve facilities for loading livestock, approval was obtained from the Post Master General's department (P.M.G.) on 12-5-1945 to remove portion of the P.M.G. pole siding and connect the remaining section with the livestock trucking yards siding. The livestock siding was extended to take in the P.M.G. siding with the points off the main line to the P.M.G. siding removed on 30-6-1945. The P.M.G. retained ownership of a short section of the dead-end siding until 6-8-1963 when it was purchased by the Victorian Railways.
Mildura butchers and stock and station agents, in January 1947, were strongly opposed to a proposal by the VR to rebuild the Seventh Street cattle yards. Their objections were based on the site not being in a direct route to the abattoirs, being too close to dwellings and the stock route for cattle coming from New South Wales had dangerous bottle necks. One suggestion was for a branch line to be constructed from Irymple to the abattoirs. A meeting was held on 11-2-1947 with representatives of the City and Shire councils, Mildura District Development League, Mildura butchers, stock agents, Wentworth Pastoral Protection Board and railway officials. The meeting recommended that new stock loading facilities be built at the rear of the City Baths between the wharf siding and the road approach to the Murray River bridge. A suggested site near Mildura Co-Operative Fruit Co. was not acceptable to the railway department.

The down end of Mildura station yard looking in the Up direction on 4-9-1976. The old cattle yards were to the right of the picture where the shed stands. The alignment of the stockyards siding can be determined by the angle of the shed and loading platform (which came after the stockyards were moved in 1950). The original steam locomotive depot was to the left where the trees can be seen. The line terminated at this point until extended to Merbein. Photo: Bruce McLean
Plans for the new cattle yards siding were submitted to Mildura City Council in October 1947 and surveying of the site for the new cattle yards on the flat behind the city baths was completed by November 1949. Rail laying commenced in January 1950. The siding left the wharf siding via a set of points located at the foot of the incline leading from the station yards. The first sheep to be trucked from the new yards were sent on 25-5-1950. Tenders were called in June 1950 for the purchase and removal of the old stockyards in Seventh Street.
During April 1951, the former Construction siding leading to the R.M. Anderson sawmills and Murray River was rebuilt in advance of the arrival of the "Centenary - Jubilee Train".

Relaying the Construction siding near Mildura wharf. The track has been laid across the T.J. Nihill Memorial Drive (now Hugh King Drive). 9-4-1951. Photo: Sunraysia Daily

Another view of relaying the Construction siding. It appears that new sleepers and heavier rails were used to replace the original track laid in 1922. Photo: Sunraysia Daily

Railway workmen positioning a point blade whilst relaying the wharf siding prior to the visit by the "Centenary - Jubilee Train" and special train for the visit by the Governor of Victoria. Both trains used the wharf siding to stable overnight. 9-4-1951. Photo: Sunraysia Daily

A "Reso" tour train standing on the wharf siding at Mildura. Note the proximity to the edge of the Murray River. 21-6-1954. Photo: Bob Whitehead Collection
In December 1953, Mildura City Council met with senior officers of the Victorian Railways to suggest that the goods yards be relocated to the eastern side of the city near the Mildura Co-operative Packing Co. sheds. The plan was to preserve the riverfront for beautification, as it was considered that any large scale expansion of the yards would encroach on land planned for beautification. The passenger facilities were not to be shifted. The Commissioners were of the opinion that it would not be economical to move the yards.
A deputation from Mildura City Council met with the Chairman of Commissioners (Mr. R.G. Wishart) in Melbourne in July 1955 with a proposal to shift both the cattle yards and railway goods sheds for future riverfront beautification. No further action resulted from this meeting.
The Mildura City Council attempted to have the railway department terminate the lease to the Mildura box factory - a sawmill located on railway land between the yards and the riverfront - for riverfront beautification, but the department would not agree with this action.

The record floods of 1956 completely claimed the wharf siding and came up to the cattle yards siding below the main line railway embankment. In this view a ganger's trolley is being used as work is being done on a levy bank. The former Mildura Urban Water Trust pumping station can be observed in the background. Photo: Joan Lee

The 1956 floods caused minimal disruption to the Victorian Railways, the sidings on the riverfront to the power house, stockyards and wharf being inundated. Note the old rowing club sheds (centre) and pump house (far right) surrounded by water. Photo: Frank Zaetta, Mike Jobson Collection
A siding to serve the new Sarnia Packing Co. shed was opened for traffic on 25-1-1957. Another siding for the Caltex Oil Co. was also opened on 25-1-1957. Together with the loop siding for Mildura Co-operative Fruit Co., and the Sunraysia Flour Mills siding, the four sidings were all situated between the 350 and 351 mile posts about one mile from Mildura station.
The wharf siding was re-graded in 1958 to allow the Mildura City Council to construct the T.J. Nihill Memorial Drive (now Hugh King Drive).
The question of moving the railway yards was raised again in 1959 by Mildura City Council, however the Chairman of Commissioners Mr. Brownbill wanted nothing to do with the idea claiming that the railways helped make the town and because the terminal area had become "valuable", they were told to go a mile and a half out of town sacrificing convenience for customers.

The Up end of Mildura station and yards, 1959. Photo: Victorian Railways M6400
The Mildura City Council met with the Chairman of the Victorian Railways Commissioners on 29-10-1963 and put forward a number of initiatives that had a direct impact on railway infrastructure. They included:
* Mildura railway station re-planned so that Langtree Avenue could be continued through to the riverfront. Council proposed either a flyover road above the station or the station to be removed from the main city area along with re-siting of the goods yards;
* Rail truck washing facilities (Mildura packing houses claim inconvenience with the present arrangements);
* Opening of Eleventh Street rail crossing to road traffic (on the Mildura to Yelta line);
* Widening of the Eleventh Street/Benetook Avenue level crossing and the installation of flashing warning lights;
* Elimination of the section of line owned by the railways leading to the Mildura Powerhouse;
* Removal of the former sawmills line with its recommended replacement, if necessary, at the old loco sheds;
The Chairman of Commissioners provided the following responses:
* In rejecting the request for alterations to the station for a continuation of Langtree Avenue, he said "The Railways have done an enormous amount to develop Mildura. Now the City wants to kick out the thing that made it". He did not think the proposal was feasible.
* The Chairman said he would send a packaging expert to examine the truck washing
facilities idea put forward. He also mentioned that if this were done, it would be unique in railways anywhere in the world.
* The railways were spending so much money abolishing level crossings, it would be wrong to open a new one in Eleventh Street. He stood firm on his earlier decision that if Eleventh Street was opened, one other crossing would have to be closed.
* They would not remove the wharf and sawmill railway line for riverfront beautification. If the line was transferred to another area the cost would have to be paid by Council. When he asked if Council was prepared to pay there was no response.
A similar agenda awaited the Commissioners when they returned a year later on 24-11-1964. This time the Chairman indicated that he would be happy to keep in mind and discuss with councillors any proposals to shift the railway yards "just as long as there were no commitments". Mr. Brownbill also retained his stance on removal of riverfront railway lines for beautification purposes.
The only concession from the Chairman was approval for removal of the section of the siding into the old Mildura City Council Electric Supply Department powerhouse (transferred to the State Electricity Commission in 1952 and now known as S.E.C. Siding) from the points to the gates of the powerhouse, on 14-1-1965.

Press cutting from "Sunraysia Daily" showing a railway worker dismantling the section of the former Mildura Powerhouse (later State Electricity Commission) siding at Mildura on 14-1-1965. Source: Bruce McLean Collection
Mildura City Council asked the Minister for Transport in May 1966 to halt any further railway development along the riverfront and to have the wharf and cattle yards sidings removed at no cost to Council. The Commissioners claimed the wharf line was required for truck storage and discharge of gravel, however in October 1966 they agreed to investigate the possibility of removing the lines. The Commissioners also raised the possibility of an LP gas storage facility being established in Mildura, but the plan "was very much in abeyance".

J517 is shunting a wagon on the downgrade line leading to the Mildura riverfront. 1966. Photo: Unknown - Bruce McLean Collection
In January 1967, the Commissioners agreed to relocate the wharf siding in a new position parallel to the cattle yards siding at a cost of 4,500 pounds, however, in October 1967, Mildura City Council proposed that both sidings be relocated to council land in Benetook Avenue, near Eleventh Street. Mildura City Council met with the Commissioners during their annual visit of inspection on 9-12-1969 and was advised that the cost of relocating to the Benetook Avenue site would be 60,000 pounds and the Commissioners could not finance that expense. It was agreed that an additional line would be laid next to the cattle yards track at a cost of 3,000 pounds with Council paying half the cost of removal of the wharf line and supplying the necessary filling.
An inspection of the riverfront by the Minister for Transport (Mr. Wilcox) in January 1971 was followed up by the appointment of a special Victorian State Cabinet committee to investigate the submissions made to the government by Mildura City Council. Eventually it was advised in February 1972 that the sawmill and cattle yards sidings would be removed with the assistance of a grant of 17,000 pounds from a rural employment aid scheme leaving only 3,500 pounds to be shared between the Victorian Railways and Mildura City Council. The cattle yards were to be returned to their original site in Seventh Street near the end of the carriage sheds.

This is the type of scenery Mildura City Councillors argued for years to have removed. The embankment dividing the railway reserve and the riverfront was an agenda item for beautification and removal of railway tracks from 1953. This view of the overhead bridge leading to the goods yard and railway tracks crossing the T.J. Nihill Memorial Drive (later High King Drive) was taken on 18-4-1972. Photo: Sunraysia Daily

Cattle wagons being shunted along the riverfront cattle yards siding by T320 on 13-3-1973. Photo: Bruce McLean

Wagons stored on the Mildura wharf siding were extremely close to the Murray River bank as can be seen in this view taken on 13-3-1973. This was also the site of Anderson's sawmills, and where sleepers for mallee branch line railways were unloaded from river transport. Photo: Bruce McLean
"Sunraysia Daily", in offering a rare "opinion", claimed the Council had made an alarming and amazing decision to move the cattle yards into a residential area, with the public under the impression that they would be re-sited to the proposed Benetook Avenue site. Strong public debate followed with a number of suggestions being put forward including the recycled ideas of placing the yards at Irymple, building a branch line from Irymple to the abattoirs and building a branch line from the Red Cliffs - Meringur line to the abattoirs using rails from the closed Meringur - Morkalla section.
The Victorian Railways next proposed using the former locomotive depot site, however when Mildura City Council agreed to accept this proposition, ratepayers promptly called a public meeting on 17-4-1972 to condemn the idea.
"Sunraysia Daily" advocated the removal of all but the passenger train facilities at Mildura station, linking their argument to the recently released report on Land Transport in Victoria by Sir Henry Bland ("The Bland Report") which recommended that the Government change the structure of the railways organisation to a type "more appropriate to a commercial undertaking of its size". All members of State Parliament were sent copies of the issue of Wednesday 19-4-1972 which carried an extensive article and an aerial photograph of the riverfront area and railway yards.

Aerial photograph of Mildura river frontage published in "Sunraysia Daily" newspaper on 19-4-1972. All members of the State parliament were sent a copy of this issue. The legend for the numbers is: 1 Site of the cattle yards; 2 Railway lines Mildura City Council wanted removed; 3 Goods yard and goods shed; 4 First site suggested by Mildura City Council for cattle yards; 5 Second site suggested by Mildura City Council for cattle yards; 6 Old Mildura power house. Photo: Sunraysia Daily
The proposed site was in the centre of an industrial area, recreation ground and kindergarten. A fighting fund was started to raise funds for aerial photographs of the site to send to cabinet members and parliamentarians.
At a meeting on 25-5-1972 the City Council agreed to reverse its decision and "pursue with vigour" to get the Minister of Transport (Mr. Wilcox) to agree to move the yards to Benetook Avenue. In July 1972 the Victorian Railways proposed to the Shire Council that the cattle yards be relocated to Irymple station behind the goods shed. This proposal was not enthusiastically received and was rejected by Irymple Progress Association.

In this view from the WIN TV (formerly STV8) television tower in 1972, the railway lines referred to in the text to the wharf (with stored wagons partially hidden by trees) and the cattle yards (across the centre of the picture to the right) can be seen. A B Class diesel about to cross the Madden Avenue underline bridge is about to arrive at Mildura station yards. The Murray River forms the backdrop to the City of Mildura. Photo: Sunraysia Daily
A deputation of Mildura City councillors and the Town Clerk, armed with plans for development of the riverfront, met the Premier (Mr. R. Hamer) in Melbourne on 17-11-1972. It was then announced that the Premier had granted the City Council $100,000 with $51,000 to remove the railway lines and cattle yards to Benetook Avenue and the rest for riverfront development. The Victorian Railways had finished plans and work could start immediately.

The downgrade line leading from Mildura station yard to the riverfront sidings serving the wharf and cattle yards. 20-3-1973. Photo: Bruce McLean

The points at the foot of the downgrade serving the Mildura wharf siding (diverging to left) and cattle yards siding. Cattle wagons can be noted on the siding. 20-3-1973. Photo: Bruce McLean
Construction commenced in January 1973 with earthworks for the sidings and construction of the cattle yards being undertaken by the council. Ten thousand cubic yards of filling was removed from Mildura golf course (to create a dam) and workmen were employed under the Commonwealth Government's Unemployment Relief Scheme.

Earthworks in progress for the new cattle yards siding near Benetook Avenue, Mildura, to replace the cattle yards on the riverfront. This was the third site for cattle yards in Mildura since 1903. April 1973. Photo: Bruce McLean
At the same time, a gravelled hard standing area for unloading materials such as cement and aggregate was constructed by council on the site of the former locomotive depot coal stage area despite protests from local residents. A remaining track was extended 230 feet for storage of rail wagons. Shortly before these works commenced, the wharf siding was used for unloading wagons of gravel for road surfacing and this task was transferred to the locomotive depot site.

A T Class locomotive with sheep vans ready to climb the upgrade back to Mildura station yards after leaving the stock loading yards in the far right background. The wharf life curving towards the river has been lifted and work is well advanced on construction of a retaining wall against the embankment supporting the station yards. 1973. Photo: Victorian Railways PR-7181
The last use of the Mildura wharf siding was made on 20-3-1973 when T320 shunted cattle wagons and a VLX wagon from the siding. When the loco had completed its work, the wharf siding was clipped and spiked out of service, the points permanently fixed to lay for the cattle yards siding only.

T320 picks up a VLX van from the Mildura wharf siding on 20-3-1973. This was the last train movement on the siding before it was spiked out of use. Unfortunately the quality of this photograph is poor, however it is the only photographic record of the last use of this historic siding used for a variety of uses from unloading riverboat cargoes, serving Anderson's sawmill and for stabling special trains and vice-regal rolling stock during visits by the Governor. Photo: Bruce McLean

As soon as T320 had moved off the wharf siding, a ganger clipped and spiked the points to lay for the cattle yards siding. 20-3-1973. Photo: Bruce McLean

Construction of the cattle and sheep loading stall are well advanced and sleepers have been placed into position prior to the laying of rails on the new cattle yards siding, Mildura. 20-7-1973. Photo: Bruce McLean

The new cattle yards siding opened for operation on 5-9-1973. In this scene taken on 1-9-1973 only a few details had to be completed on the stock races. Photo: Bruce McLean
The new cattle yards were opened on 5-9-1973 and the first cattle were despatched on 7-9-1973. The tracks serving the old riverfront site were then dismantled in panels still with sleepers attached, to form a temporary track from the bottom of the incline from the station yard to enable the transfer of steam locomotive K175 to its preservation site below the railway yards on the site of the old power station ash pit. The locomotive had been purchased by Mildura Jaycees service club for $1040. K175 was moved in three stages using three rail panels and a council bulldozer for haulage power - the first stage on 11-9-1973 to a point below the railway goods sheds, the second on 14-9-1973 near the concrete standing pad for sand blasting and cleaning and the final move on 28-4-1974 onto its final resting place.
The movement of livestock by rail came to an end when V/Line announced that it would no longer carry this freight after 1-10-1986. The decision virtually closed the saga of livestock transportation by rail from Mildura. Tenders were advertised on 2-6-90 for the removal of the stockyards.
In July 1974 it was announced that the overhead road bridge leading to the goods yard off the end of Deakin Avenue would be demolished and a new ramped road off T.J. Nihill Memorial Drive (now Pioneer Way) constructed as part of the redevelopment of that area.

Overhead bridge leading to Mildura goods yard in April 1973. The bridge was demolished in 1975 in an extension of tracks to the up end of the yard. Photo: Bruce McLean
A new ramped approach road to the goods shed leading off the T.J. Nihill Memorial Drive opposite the Rowing Club, was completed in March 1975. The gates to the overhead bridge entrance off the end of Deakin Avenue were closed permanently on 31-3-1975 and bridge demolition work commenced on 2-4-1975. The goods yard overhead bridge was one of only two overhead bridges between Maryborough and Yelta (the other being at Ridge Road, Merbein). The demolition also meant the (temporary) end of an unofficial scenic lookout used by thousands of people through the years as a vantage point overlooking the Murray River frontage and watching trains.

Demolition of the overhead goods yard bridge at Mildura commenced on 2-4-1975. Photo: Bruce McLean

Victorian Railways engineers marked the mileage from Melbourne on various engineering features along railway lines. The engraved figures representing 351 miles, 16 chains, 94 links, denotes the exact position of the overhead bridge that led to the goods yard at Mildura. 6-11-1977. Photo: Bruce McLean

The Up end of Mildura following removal of the overhead bridge and ramped access road. June 1975. Photo: Bruce McLean

This sign directing goods traffic to the Fruit Flier loading point, stood at the bottom of the ramp from the goods yard overhead bridge. The sign was stencilled on a track side curve speed board. It is now privately preserved. Photo: Bruce McLean
Major reconstruction of the Mildura goods yards commenced in May 1977. At the same time, work to lengthen the station platform commenced. A new set of points was inserted into the main line at the up end of the yard close to the Madden Avenue bridge and the three sidings lengthened. On 25-5-1977 the Down Home (Co-acting) Arrival Signal was relocated 325 feet in the Up direction on the left hand side of the track. The co-acting arm was removed.

A new set of points were installed into the main line at the up end of the Mildura station yard on 29-5-1977. This was the starting point for an extension to the three roads in the yard. Photo: Bruce McLean
In April 1978 150 feet at the up, or station end, of the carriage shed was dismantled. The decision was made by the Chairman of the Victorian Railways Board because it was in danger of falling down. The carriage shed was used to provide undercover stabling for cleaning and servicing of passenger rolling stock.

Dismantling of portion of the up end of the Mildura carriage shed. Work in progress at 27-4-1978. Photo: Bruce McLean

The extent of dismantling of the main covered section is shown in this view taken on 30-4-1978. There has always been a fight by local railway staff to retain the sheds with an administration keen to pull it down to save on maintenance. The value of the shed in keeping steel carriages cooler than the outside temperature assisted the air-conditioning systems on days of extreme heat. Photo: Bruce McLean
The wooden walkways in the carriage shed were replaced by steel open mesh safety surfaces during 1979.
More than 40 trees were planted on a section of the railway reserve along Seventh Street on 15-11-1978. The trees were purchased by Mildura Chamber of Commerce and planted by the City Council on a four metre strip leased by the Chamber near the locomotive stabling area to improve the appearance of the precinct.

The Train Examiner's hut at Mildura. 25-2-1978. Train Examiner's had the responsibility of checking every item of rolling stock that arrived at major stations such as Mildura and for ensuring that trains were mechanically safe and in working order before departing. Train Examiner's were also required to undertake small repair tasks that did not need attention at a major workshop. Photo: Bruce McLean
Construction of a new siding for the Gas and Fuel Corporation of Victoria, between Irymple and Mildura, for the transport of Liquefied Petroleum Gas commenced in November 1978 and the siding was open for traffic on 5-3-1979. A comprehensive water sprinkler emergency protection system was installed in a locked steel mesh-wire compound to provide protection in an emergency for the LPG tank wagon. The siding, located opposite the Mildura Stockyards siding, was officially opened by the Mayor of Mildura Cr. K. Gambetta in the presence of the Chairman of the Gas and Fuel Corporation, Mr. N. Smith. The $30,000 siding was built to enable the Corporation to transport LP gas from its Melbourne and Geelong terminals in a 35 tonne rail tanker at lower transportation costs. The Mildura LP gas terminal was purchased by the Corporation in 1975 and had previously transported gas to Mildura by road.

An LP gas tanker stands on the new siding built by the Gas and Fuel Corporation on 5-5-1979. Note the elaborate safety system around the tanker. Photo: Bruce McLean
An interesting development at this time was the announcement by the Country Roads Board and Mildura City Council that agreement was required to be reached in three months to site a new road bridge to replace the existing bridge over the Murray River (originally built under the Border Railways Agreement). The C.R.B. favoured a bridge leading off the end of Deakin Avenue, passing over the railway on the site of the demolished goods yard bridge before spanning the river. The Council favoured a site adjacent to the existing bridge. The latter site was eventually selected and a new bridge built in 1985.
A former feed and grain store adjacent to the diesel locomotive storage tracks was dismantled in April 1980. The business was operated for many years by Mr. F. Clayton and in more recent years by Mr. T. Waller who painted the shed a sky blue color. The nearby weigh-bridge was used for loads of produce to be weighed for delivery around Mildura and motor vehicles which were required to be weighed by law for registration. The shed was removed to provide an additional locomotive storage track and inspection pit.
A loading bank was built on the remaining section of the former downgrade line to the riverfront, the platform face being completed by 15-8-1982 and the platform and surfacing completed by 30-10-1982. The remaining section of the former riverfront downgrade line was removed as part of this work.

The platform face for a new loading bank on the former downgrade line to the riverfront was completed by 15-8-1982. Photo: Bruce McLean

The track was re-graded to be level with the platform and the opportunity was taken to remove part of the remaining downgrade track. 3-10-1982. Photo: Bruce McLean

The new loading bank was completed and available for use by 30-10-1982. Photo: Bruce McLean

The bare track bed after the last portion of the riverfront downgrade line was removed. 25-12-1982. Photo: Bruce McLean
On 24-5-1983, the author of this history purchased the Mildura Loco Van, 919H - a wooden bodied vehicle used by the Mildura Sub Depot Foreman for holding heavy tools and equipment for use on such occasions as derailments and major rolling stock and locomotive repairs. 919H was originally housed at the steam locomotive depot and was moved to the diesel storage and fuel point area when the steam depot closed in 1967.

Mildura Loco Van 919H on the day it was sold to the author for $25.00 on 24-5-1983. Attached is B202, a steel four-wheel wagon that would be placed on a concrete pad and used as a replacement storage place for the equipment removed from 919H. Photo: Bruce McLean
Off-register steel van B202 was sent to Mildura to be used by the Mildura Sub-depot Foreman as a replacement store for 919H, arriving on 13-12-1982. The wheels and other under-floor equipment were removed in July 1983 and B202 took up a permanent place in August 1983 near the diesel locomotive fuel point.

Off-register van B202 sitting on a concrete pad near Mildura diesel locomotive fuel point for use by the Sub-depot Foreman for storage of heavy tools and equipment. The van was located at this site in August 1983. 12-8-1983. Photo: Bruce McLean
Due to the high summer temperatures experienced in Mildura, the two road carriage shed is regarded as an important asset by Mildura railway personnel. Successive administrations have failed to recognise its value as a consequence little maintenance was applied to the building. Early in 1985 it became apparent that urgent action was required to effect repairs and in March 1985 a ban was imposed by workers on the building until it was made safe. As a consequence, "The Vinelander" was stabled during the day in the station platform, however as power for air-conditioning the cars was not available, the decision was made to run the cars to Redcliffs and return at 7 p.m. to cool them down prior to the 9.25 p.m. departure. This lasted for about two weeks. Workmen installed supports to the roof beams and one track in the shed was rehabilitated. Work commenced in March and was completed by 2-4-1985.

Relaying of the Mildura carriage shed commenced with the release of rails and removal of all sleepers in No.1 road to enable the cleaning of drains and resurfacing the formation.22-3-1985. No.2 road continued to be used for stabling and cleaning of cars. No.2 road was then rehabilitated. Photo: Bruce McLean

A layer of limestone ballast was laid as a foundation prior to the placement of sleepers (both suitable for re-use and new) and relaying of the rails. 28-3-1985. Photo: Bruce McLean

By 2-4-1985 the task was completed. Off-register van B256 was positioned at the end of No.2 road and served as a storeroom for cleaning equipment used by the car cleaners. Photo: Bruce McLean

Off-register steel van B256 served as a storage area for cleaning equipment used by employees responsible for cleaning passenger rolling stock at Mildura carriage sheds. 16-2-1992. Photo: Bruce McLean
In August/September 1985, three projects were started in the Mildura station yard. They were:
* A footbridge over the up end of the yards adjacent to the site of the former road overbridge.
This bridge was commissioned by Mildura City Council;
* Construction of a new goods shed;
* Rehabilitation of the second track in the carriage shed;
* Replacement of the compound points at the down end of the yard with separate turnouts.
The decision to build the new bridge as a continuation of San Mateo Avenue enabled construction of a footbridge over the railway line at the end of Deakin Avenue on the approximate site of the old road bridge that led to the goods yard. The footbridge was proposed by the City of Mildura in 1983 in conjunction with a fountain-plaza, to mark Victoria's 150th Anniversary celebrations. Work commenced in August 1985. Stringent structural requirements required by V/Line brought the cost of the footbridge to $80,000. The main footbridge beam was manufactured in Traralgon and transported by road to Mildura.

Work on the Seventh Street side abutment of a new footbridge near the site of the former road overbridge, was well underway by 14-8-1985. Photo: Bruce McLean

The Murray River side abutment required a large concrete base to protect the footbridge from any possible impact by a misguided rail vehicle. 14-9-1985. Photo: Bruce McLean

The footbridge beam was lifted into place on 4-10-1985. Photo: Bruce McLean
Another project in the Mildura station precinct was the rehabilitation of the second track in the car shed. This work commenced in September 1985. As with the first track rehabilitated earlier in the year, the rails were removed from the sleepers and new sleepers installed. This work was completed by 5-10-1985.

In this view of the interior of the Mildura carriage shed, the rails from the track on the right have been released and all sleepers removed. The carriage shed is an important asset for protecting passenger rolling stock from the heat. 5-9-1985. Photo: Bruce McLean

Rehabilitation of No.2 road in the Mildura carriage shed was well advanced by 25-9-1985, requiring adjustments to the alignment and ballasting. Photo: Bruce McLean

A view from the down end of the car sheds of the track refurbishment on No.2 road. "The Vinelander" carriages are standing in No.1 road. 5-10-1985. Photo: Bruce McLean
In 1985 it was decided to re-arrange the down end of the Mildura station yard by eliminating the compound points and replacing them with two separate turnouts. This appeared to be in keeping with a policy at other locations of replacing these complicated points and fittings. Work commenced in September 1985 with the new points being assembled on an open space beside the departmental residence in Walnut Avenue and the site of the original turntable.

The compound points at the Down end of Mildura station yard, before their replacement. 14-9-1985. Photo: Bruce McLean

Construction of the new points took place on vacant land (site of the original turntable). Three sets of points were required to replace the compound points at the down end of the yard. 21-9-1985. Photo: Bruce McLean

The first portion of the new points was installed and ballasted in the main line to Merbein by 15-11-1985. The compound points to be replaced can be observed in the centre background. No further work took place on this project until August 1986. Photo: Bruce McLean

The completed footbridge and embankment works at the up end of the Mildura yards on 16-3-1986. The footbridge not only provided those with an interest in railways to observe the yards, but also a panoramic view of the Murray River frontage to the Mildura city. Photo: Bruce McLean

This busy scene was typical of the time when Y154 on pilot duties was shunting the yard through the compound points at the down end. Stabled in the loco sidings were N460, G513 and guards van 25VVCP. 24-5-1986. Photo: Bruce McLean

Replacement of the compound points at the down end of Mildura with a new track arrangement took place between 19 - 22-8-1986. Photo: Bruce McLean

The new points and yard arrangement were completed by 22-8-1986. Photo: Bruce McLean
The tracks in the carriage shed were re-laid with heavier rail in September 1989.

Rail replacement underway in the Mildura carriage sheds. Heavier 80 pound rail replaced the 60 pound rail. 13-9-1989. Photo: Bruce McLean
Cr. A. Cox of the Shire of Mildura, in December 1989, requested that the Shire Secretary and Engineer prepare a feasibility study into ending the railway from Melbourne at Irymple. This suggestion raised the ire of the Shire's Lake Riding councillors who opposed any suggestion to cut the line to Mildura and the Yelta grain silo.
The report was completed by November 1990 and advocated that the Mildura line be terminated at Irymple as it was central to the developed Sunraysia area, land was available at Irymple station, 22 level crossings would be closed and the Mildura station area could be developed with a large international hotel or a coach terminal. Freight handling was not considered a problem from Irymple, but coach and taxi services would be required for rail passengers wanting to get to Mildura.
The report received a cool and highly critical reception from some councillors, most critical of the additional heavy motor vehicle traffic added to roads and the necessity to maintain rail services to Yelta for grain traffic.
Tenders were invited for the sale and removal of the gang shed on 28-7-1990. The shed was used by members of the track maintenance staff for storage of tools and motorised track patrol trollies. The sheds were removed by the end of October 1990. The introduction of Hi-rail maintenance vehicles that could transfer from road to rail and a central depot based at Redcliffs rendered the Mildura sheds surplus.

The track maintenance sheds at Mildura on 25-2-1978. Photo: Bruce McLean

Workmen relayed the former crane shed road with 80 pound rail on 5-6-1991. Photo: Bruce McLean

The Down end of Mildura station yard. Note the removal of the gang sheds between the main line and the end of the carriage shed. 22-6-1991. Photo: Bruce McLean

Mildura carriage shed with rolling stock off "The Vinelander". 21-3-1992. Photo: Bruce McLean
On 7-8-1992, workmen removed one section from the northern end of the shed as it was considered to be unsafe pending plans to house the special carriages in the shed for the forthcoming visit by the Governor of Victoria. The wooden finial on the end of the building was salvaged by the author from a pile of discarded wood intended for a lunchtime fire.

Workmen demolishing the end section of the carriage sheds. The section was considered to be unsafe. 8-7-1992. Photo: Bruce McLean

N473 was called in provide head-end power to "The Vinelander" carriages in the car shed on 11-9-1992 following damage to the normal power supply cable. The site of the big locomotive "poking its nose" out of the shed was an unusual sight. Note the new handrails to the walkways following the reduction in the length of the shed two months earlier. Photo: Bruce McLean

"The Vinelander" carriage set stabled in the Mildura car shed. 9-4-1993. Photo: Bruce McLean

Colorbond cladding was added to the exterior walls of the Train Examiners hut during October 1992. Other structural improvements were made to the verandah. 23-10-1992. Photo: Bruce McLean
The Train Examiner's Hut was purchased by the Redcliffs Historical Steam Railway on 28-8-2001. It was removed to the group's operating site at Redcliffs .

Looking in the Down direction on Easter Saturday 22-4-2000. Prior to the cessation of passenger rail services, this yard and the two sidings in the carriage shed would have been fully occupied by passenger and freight rolling stock with at least two passenger trains having arrived with Easter holiday makers. Photo: Brian Evans
The Managing Director of the Mildura Grand Hotel, Mr. D. Carrazza, initiated an ambitious proposal to redevelop the land between his hotel and the Murray River frontage with the unveiling of a conceptual plan on 22-9-1993. The key factor was for the city to gain control of the whole river frontage including land and buildings belonging to the State Transport Authority.
Commercial lawyer Mr. J. Irwin, at the time an owner of the "Showboat Avoca" which operated from the Mildura wharf, advocated the removal of the railway yards to make way for a park and tourism complex on the riverfront. In an article published in the Melbourne "Herald-Sun" on 14-10-1994, Mr. Irwin indicated that the Sunraysia Development Corporation was seeking federal and state government funding to remove the railway terminal to Red Cliffs, 12 km from Mildura. He also added that V/Line had yet to be consulted. The project also called for the removal of bulk fuel terminals from the city, rerouting the railway line from Red Cliffs to Yelta as well as a review of railway linkages including a connection into South Australia. There were no costs associated with the draft plans.
The Chairman of West Coast Railway, Mr. D. Gibson, whose company was operating the privatised passenger service on the Warrnambool line, and was interested in the future return of rail services to Mildura at the expiration of the bus contracts that replaced the train service to Melbourne, made it clear that he thought closing the station in the city was a "silly idea" and would put Mildura at a huge disadvantage.
In May 1995, Mr. Irwin endeavoured to challenge district parliamentarians and Mildura Rural City Council to have the railway site on Seventh Street "returned to the community" at a time when the Commissioners, (appointed by the government to administer the new Mildura Rural City Council which was the result of amalgamating Mildura City, Shire and Walpeup Shire Councils) were considering building a tourist information centre. The Member for North Western Province, Mr. B. Bishop, indicated that the transfer of railway land would be a slow and complicated process.
The interesting situation had now developed where there were three prominent business people, Mr. D. Carrazza of the Grand Hotel, Mr. J. Irwin, an owner of the paddleboat "Avoca", and Mr. L. Thomson, a Commissioner of Mildura Rural City Council and owner of the paddleboat "Coonawarra" with commercial interests in the area involved in proposals to remove rail facilities for the redevelopment of the Murray River frontage. The author, at that time a member of an advisory group to the Minister for Transport and with a keen interest in ensuring that the viability of the railway to Mildura and Yelta was not compromised in any way, held a private meeting in December 1995 with the Chief of Staff to Minister for Transport, Mr. A. Brown, to point out the conflict of interest by the proponents of the development and the political damage this could cause in the electorate. The Chief of Staff subsequently advised the author privately that there would be no action supported by the Minister for Transport to remove facilities.
Mildura Rural City Council commissioned a consultancy, completed in August 1995, by Connell Wagner at a cost of $20,000, to study alternate locations for the Mildura freight centre and three bulk fuel depots. The study identified the industrial areas of the city and Irymple, Carwarp, Yatpool, Merbein and Red Cliffs, estimating the costs of building a new centre and depot at one of these locations at $3 to $3.5 million for a new fuel depot and $1.2 to $2.7 million for a new freight centre. Additional costs included $80,000 to $210,000 for the development cost of the site, $450,000 to $1.67 million for land acquisition, and $150,000 to $300,000 for rehabilitation of the fuel sites.
The Red Cliffs Recovery Group wrote to council in October 1995 to make a claim for the preferred site as they considered the Red Cliffs station grounds offered sufficient land and sufficient rail tracks were already in place. Various figures were quoted in the newspapers for the rerouting of the railway between Red Cliffs and Yelta, but $25 million appeared to be the estimated cost.
The Managing Director of V/Line Freight, Mr. M. van Onselen, publicly responded to the proposals on 20-1-1996 urging extreme caution in any proposals to remove the railway line between Irymple and Yelta. He also expressed the important view that the potential loss of substantial freight volumes on an already lightly used line could jeopardise the line's viability - the same view shared by the author with his previously stated meeting with the Minister's office. Mr. Van Onselen also reinforced the fact that it would then be impossible to contemplate the return of a passenger service to Mildura. The Victorian Farmer's Federation grains group also warned of the disastrous consequences for the grains industry and agriculture generally.
The political horizon was changing in Mildura at this time. An independent candidate Mr. R. Savage, nominated for the Mildura electorate offering strong support for retention of the railway and freight facilities in Mildura. The sitting Liberal member, Mr. C. Bildstien M.L.A. had incurred the wrath of the community by supporting Premier J. Kennett that "The Vinelander" passenger train would not only be retained, but upgraded, and then when re-elected, supported the cancellation of the service on 12-9-1993 amidst unprecedented community anger. On 24-1-1996, Mr. Savage claimed that he suspected business interests were pushing the railway removal project and not community interests or concerns. These people were connected with "Sunraysia 2000" a project team appointed by the Sunraysia Development Corporation. Member for Mildura, Mr. C. Bildstien, supported the proposal and advised the group to consider staging the $25 million funding over a three year period.
A State election held on 30-3-1996 resulted in Mr. Bildstien, who held the safest seat in the State and touted as a future Minister in the government, losing to Mr. R. Savage, a former policeman and Shire of Mildura President. Mr. Savage's campaign was run on a railway theme with specially printed railway tickets used for publicity and an electoral platform strongly opposing the tactics used by the Kennett government to close the railway passenger service. He also campaigned against the potential loss of a viable railway if the riverfront proposals were carried out.
Another conceptual plan for the riverfront was rolled out by Mildura Rural City Council before the election, on 2-2-1996. Architects and urban designer, Bates Smart, completed the design which included an entertainment sound shell, a new wharf, five-storey viewing tower, a convention centre, a multi- storey hotel/motel, an elevated restaurant, an interpretive centre and maritime museum. The only reminder of a railway was the retention of the carriage shed (which supports a heritage order) for a coach terminal. Paddleboat operators, Mr. J. Irwin and City Council Commissioner L. Thomson, urged residents to study the "Mildura riverfront dream".

The proposed $70 million riverfront development plan showing the decimation of the railway reserve at Mildura. The legend for the numerals is: 1. Riverfront Landing precinct; 2. Tourism/Commercial precinct (includes the carriage shed as the only railway infrastructure remaining); 3. Civic precinct; 4. Residential precinct; 5. Cultural precinct; 6. West park precinct; 7. East park precinct; 8. Lock Island sanctuary; 9. New South Wales; 10. Mildura marina. Source: Sunraysia Daily - Bruce McLean Collection
The author made his own headlines with an article in "Sunraysia Daily" written by retired editor Mr. G. Tilley who had a good understanding of regional transport requirements. The article was based on the author's concern that capital funds for the riverfront would jeopardise rail gauge standardisation between Geelong and Mildura. The estimated cost of $40 million for the removal of the railway and riverfront development would be a better investment with only $15 to $20 million required to re-gauge the railway and lift the line speed from 80 kph to 115 kph. A train operated by one man could provide haulage equal to 80 semi-trailers with speed and safety. (History will show that both these proposals were adopted by the Victorian government in 2001).
The member for North Western Province, Mr. B. Bishop, indicated on 10-7-1996 that a study into standardising Victorian country rail corridors was to be commissioned by the government. He claimed that a standardised rail line to Mildura was "one of the most important elements for future regional growth".
Mr. Bishop M.L.C. announced on 7-2-1997 that discussions with State government and Mildura Rural City Council had determined that relocation of the Mildura railway line was not commercially viable and that $45,000 was being spent on recommending options to redesign public land surrounding the railway and to develop the existing rail site.
"Sunraysia Daily" reported on 19-5-1997 that Mildura Rural City Council would award the Sunraysia 2000 contract for the development of the riverfront to Bates Smart "amid councillor's frustration at the immoveable railway line". The Council chief executive officer, Mr. G. Davy, said the project guidelines were based around the fundamental premise that the railway line between Mildura, Merbein and Yelta would stay and the development would work around it.
Mr. K. Wakefield, operator of the V/Line intermodal freight depot at Merbein, responded to the report by reminding councillors that the railway to Merbein and Yelta accounted for more than half the revenue raised on the entire Mildura line and closure of the line would mean the demise of the line from Ballarat.
In July 1997, the Mildura Rural City Council established a Sunraysia Transport Group. The group tried to pre-empt the $45,000 consultant's study into the best positioning of the Mildura Freight Centre, advising the consultants that the recommended site in Sunraysia was at Merbein.
On 6-11-1997, Mildura Rural City Council endorsed a potential $81 million riverfront redevelopment plan by consultant Bates Smart. The council acknowledged again that the railway would not be shifted, but was presented with three options: retaining the existing freight centre, rationalising its operations or relocating it to either Irymple, Merbein, Red Cliffs or Cowra Avenue (between Mildura and Irymple). The first option would cost $600,000 for redevelopment of the freight centre, option two was estimated to cost $5.61 million and option 3 would cost $10.16 million of which $4 million would be for the freight centre relocation.
The government in the meantime, was preparing V/Line Freight for sale to the private sector. Expressions of interest were advertised on 1-8-1998, effectively leaving the decision and any cost associated with relocation of the freight centre to the new owner.
A "climbing wall" for people wishing to emulate the experience of rock climbing was established in September 1998 on leased land situated between the down end of the carriage shed and Seventh Street. Ex V/Line louvre van VLCX318 was purchased by the operators and used for office/storage purposes. The site was closed and the land offered for lease by July 2003.

VLCX318 after purchase by a local business for use as an office and store for an adventure attraction to be established on land leased from the Department of Infrastructure next to the carriage shed. Note the bogies at the end of the carriage shed after the body of the van was lifted off. 13-6-1998. Photo: Bruce McLean
Just prior to the State election on 18-9-1999, "Sunraysia Daily" attempted to create a controversy by setting up a "debate" on riverfront development including a survey that invited readers to vote for either removal of the railway or keeping the railway. Sixty-two percent of respondents were in favour of keeping the railway and 38 percent wanted the line removed. The newspaper was subject to much criticism from people with a greater understanding of the recent privatisation of the Victorian country rail system which prohibited closure of any rail lines under the contract arrangements with the government, however the newspaper refused to acknowledge this point. Some critics felt that "Sunraysia Daily" was promoting an agenda that favoured potential commercial developers of the railway riverfront precinct. In a rare display of justification, the Editor of the newspaper responded to unpublished criticism claiming that the "Great Rail Debate" was "to bring forward public input into a vital component of the city's future". It is the author's view that the "debate" ended up being a resounding victory for those who recognised the value of rail to the community and it was a "hands off" message to commercial opportunism by potential developers.
The Train Examiners Hut was becoming derelict at the hands of homeless people and vandals trying to enter the secured building and an offer was made an accepted for its sale on 31-8-2001 to the Red Cliffs Historical Steam Railway Inc. for use as a station building and public waiting area for their narrow gauge railway using the former State rivers and Water Supply Commission Kerr Stuart locomotive. It was removed to Red Cliffs on the weekend of 29/30-9-2001.

The former Mildura train examiner's hut restored by the Red Cliffs Historical Steam Railway for use as a station building at the Thurla terminus. 20-4-2002. Photo: Bruce McLean
A lease arrangement was made in June 2003 between VicTrack, Ramsay Health Care and Mildura Rural City Council for the construction of a 64 space car park behind the Mildura Base Hospital on the Down side of the 13th Street, Mildura, level crossing.
It was announced on 28-5-2003 that Mildura Rural City Council had appointed Daryl Jackson Pty. Ltd. as the preferred tenderer to develop a master plan for the Port of Mildura precinct, based on a comprehensive review of past studies. The master plan was expected to be completed by October 2003 and would identify and detail particular design elements associated with the proposed marina site, riverfront and railway sub-precincts. The master plan development was funded by Tourism Victoria, Department of Sustainability and Environment and Mildura Rural City Council. Freight Australia was a member of the master plan steering committee.
The original 1903 bridge over Madden Avenue was of timber construction with 3 openings of 20 feet and 2 openings of 15 feet. On 15-3-1933 a movement was noticed in the track on the bridge during shunting operations. It was found that a bridge pile was decayed under the road surface. Two new piles were installed during October 1933.
A safety platform and hand rails on each side were installed on the bridge during July 1943 to enable shunters to be able to cross the bridge safely when shunting trains at the up end of the yard.
Cr. R.R. Etherington raised the matter of rebuilding the Madden Avenue bridge at a Mildura City Council meeting on 11-6-1947. He claimed the bridge should be rebuilt without supports in the roadway and was successful in having Council adopt a motion to inform the Commissioners of their view.
Re-construction of the bridge commenced in April 1948. A steel bridge supported by piles each side of the roadway (replacing four piles that created two laneways) was completed in February 1949.
In 1962 the concrete decking on the bridge was replaced.

The Madden Avenue overbridge, Mildura looking in the Up direction. A footpath for shunting staff is to the left of the picture. 15-5-1977. Photo: Bruce McLean
The installation of two six tonne steel and concrete girders to reinforce the bridge from damage by trucks exceeding the height limit was completed by 16-9-1981. The steel supports for the bridge were concreted to lessen any impact and to support the protective girders.

Work in progress on 2-7-1981 on the Madden Avenue overbridge. The steel bridge supports were encased in concrete to provide additional protection and to support a concrete crash beam. Photo: Bruce McLean
The concrete girders were replaced on 8-3-1994 due to damage by over height trucks attempting to get under the viaduct.
| << Back | Home | Site Map | Copyright © 2003 Bruce McLean, All Rights Reserved |